티스토리 뷰
관악산휴먼시아3단지 공공임대주택 (39형) 에 대해서 알아봅니다.
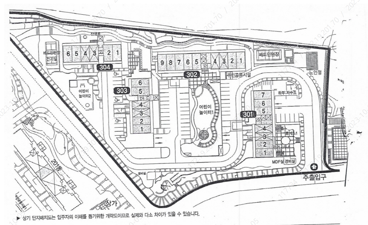
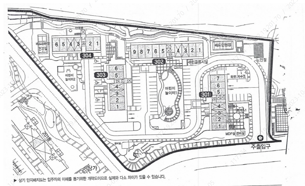
관악산휴먼시아3단지 공공임대 주택은 서울 관악구 관악산 근처에 위치하고 있습니다.
목차
관악산휴먼시아3단지 공공임대주택 (39형)

관악산휴먼시아3단지 공공임대 신청자격은 입주자 모집공고일 기준, 무주택 세대 구성원으로 소득 및 자산 보유기준이 충족되면 신청이 가능합니다.
이 글에서 부족한 자세한 부분은 LH 서울지역 본부 ( 1600-1004) 에 전화로 문의하시기 바랍니다.
신청 시 공고 내용을 반드시 숙지하고 신청자격, 소득, 자산, 가점항목 등 사전에 본인이 직접 해당 서류를 작성 후 직접신청해야합니다.
계약은 공가 발생 시 당첨 순번으로 계약하게 됩니다. 예비입주자로 선정되어도 실제 아파트 입주에는 많은 기간이 소요될 수 있습니다.
관악산휴먼시아3단지 공공임대 모집공고 보기
아파트 단지 정보
- 지역 서울 관악구
- 소재지 서울 관악구 난곡로 63
- 공급구분 역세권 청년
- 건설세대수 79
- 준공일 2023년 6월
- 난방방식 개별난방
- 주차수 -
- 승강기 전체동 설치
공급정보

임대보증금 및 월 임대료는 입주자 모집공고일 기준이며, 보증금 최대 전환 시 변동될 수 있습니다.
공공임대주택은 분양전환이 되지 않는 아파트로써, 입주민에게 주택을 분양하지 않고 첫 계약 후 2년마다 재계약을 하는 방식으로 최대 50년까지 거주하게 하는 주택입니다.
선정방법
모든 계층의 신청자 및 입주 예정 세대원 전부는 무주택 요건을 충족해야 하며 성년자(만 19세 미만)여야합니다.
- 1순위 예비입주자 모집공고일 기준 주택청약종합저축(청약저축 포함)에 가입하여 1년이 지난 자로서 매월 약정납입일에 월납입금을 12회 이상 납입한 자
- 2순위 예비입주자 모집공고일 기준 주택청약종합저축(청약저축 포함)에 가입되어 있고 1순위에 해당되지 아니하는 자
주택 평면도
39형

관악산휴먼시아3단지 공공임대 평면도

주택평면도는 마이홈(https://www.myhome.go.kr/)에서
공공주택찾기(기존 임대주택 찾기) > 지역 선택 > 공공임대 > 아파트 선택 후 검색하기 > 단지명 클릭 으로 확인이 가능합니다.
한국 토지주택공사LH, 지자체, 지방공사에서 무주택 저소득 서민들을 위해 저렴한 비용으로 주거안정을 누릴 수 있도록 소득 계층별 다양한 임대주택을 공급하고 있습니다.
임대주택을 잘 알아보시며, 적은 비용으로 주거안정과 더불어 행복한 삶을 영위할 수 있으니 알아보시기 바랍니다.
임대주택 정보 알아보기
입주자 모집공고
- 한국토지주택공사 홈페이지에서 확인
- 청약센터 > 청약공고 > 임대주택 선택
임대문의
전국 대표전화 1600-1004
인터넷 신청방법
- 공인 인증서 준비
- LH 인터넷청약시스템 접속
- 인터넷 신청
- 신청 완료
예비입주자순위 조회
예비입주자 당첨 명단 조회는 공사 홈페이지와 ARS(1661-7700)을 통해 당첨 발표일로부터 30일간 확인할 수 있습니다. 당첨 사실을 확인하지 못하여 계약 체결을 못한 경우 책임은 신청자 본인에게 있습니다.
'서울' 카테고리의 다른 글
| 서울 관악구 관악푸르지오2단지 공공임대 임대주택 모집공고 (32형) (0) | 2023.10.11 |
|---|---|
| 서울 관악구 벽산블루밍 공공임대 임대주택 모집공고 (32형) (0) | 2023.10.11 |
| 서울 관악구 신림SH빌 공공임대 임대주택 모집공고 (30형) (0) | 2023.10.10 |
| 관악청광플러스원 장기전세 모집공고 (59형) (0) | 2023.10.10 |
| e편한세상서울대입구 행복주택 모집공고 (30형, 50형, 59형) (0) | 2023.10.10 |
